NEW
吹田市春日3丁目(桃山台駅)住宅用地印刷するおすすめポイント仲介手数料0円物件!!
4,680万円 坪単価:153.25万円/坪 | 土地面積100.96㎡ 坪数30.54坪 私道負担面積 |
|
土地権利所有権 引渡条件 最適用途住宅用地 | 建ぺい率60% 容積率200% |
|
所在地吹田市春日3丁目 |
|
| 交通 |
|
最新の空室状況や詳しい情報はこちらから!
お問合せ(無料)【お問合せ先】 (株)アット・ホーム
スマートフォンでこの物件の情報をご覧になれます
※携帯電話ではご覧いただけません。
- 交通
北大阪急行電鉄 桃山台駅 徒歩12分
- 所在地
- 吹田市春日3丁目
- 物件種目
- 売買
- 価格
- 4,680万円
- 敷金 / 保証金
- なし /
- 坪単価
- 153.25万円/坪
- 借地期間
- 地代(月額)
- 権利金
- その他一時金
- 維持費等
- 土地面積
- 100.96㎡
- 坪数
- 30.54坪
- 私道負担面積
- 接道状況
- 小学校
- 桃山台小学校
- 中学校
- 竹見台中学校
- 都市計画
- 市街化
- 用途地域
- 1種中高
- 最適用途
- 住宅用地
- 建ぺい率
- 60%
- 容積率
- 200%
- 地勢
- 平坦
- 地目
- 宅地
- セットバック
- 土地権利
- 所有権
- 国土法届出
- 設備
- 備考
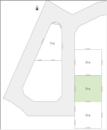
- 3号地 全16区画 閑静な住宅街 建築条件なし お好きなハウスメーカー・工務店で建築していただけます 土地面積30.54坪 前面道路幅員約5.7m 間口約9.3m×奥行約10.8mの整形地 引渡し即可
●住宅ローンお任せ下さい。(自営業・派遣社員・過去に住宅ローンが組めなかった方など)
●下記キャンペーン実施中
①当社、《手数料》 キャンペーン実施中(弊社ホームページに多数あります。)
②《買い取り》 キャンペーン実施中
詳しくはお問い合わせください。
- 現況
- 更地
- 引渡可能時期
- 即時
- 条件等
- 物件番号
- 73782468
- 情報公開日
- 2026/04/17NEW
- 次回更新予定日
- 2026/05/17
吹田市春日3丁目周辺の地図
地図を見る※地図上に表示される家マークのアイコンは付近住所に所在することを表すものであり、実際の物件所在地とは異なる場合がございます。必ず不動産会社におたずねください。
情報提供会社

- 交通京阪電鉄本線 / 樟葉
- 住所〒573-1105 大阪府枚方市南楠葉1丁目7-1-101号
- TEL072-809-5550
- FAX072-809-5551
取引態様:仲介
大阪府知事免許(3) 第0055801号
所属協会:(公社)全日本不動産協会
公正取引協議会:不動産公正取引協議会
地域密着・信頼と安心
スマートフォンで
この不動産会社の情報を
ご覧になれます
※携帯電話ではご覧いただけません。
賃貸住宅を借りるなら、物件検索サイト「ラビーネット不動産」で。賃貸マンション・賃貸アパート・賃貸一戸建ての物件情報を住みたいエリア/沿線・駅から検索し、賃料/間取り/駅からの徒歩といった希望条件で絞り込むことができます。このほか、物件の探し方から契約、引越、入居時の手続まで、お部屋探しに役立つ情報が満載。このサイトは全国組織の業界団体である公益社団法人全日本不動産協会が運営する不動産情報サイトのため、安心して物件をお探しいただけます。住まい探しのことならラビーネット不動産にお任せください!